近日,哈医大一院毕郑刚和耿硕团队成功完成了一例严重髋关节发育不良病例的下肢外形与功能的重建。
在校学生小张(化名)有自身先天缺陷,是一位发育性髋关节发育不良的患者,因为错过了幼年时的治疗时机,发展到现在已经是双下肢严重不等长,长度差达到5cm,而且左侧髋关节活动时疼痛明显引起活动受限,严重影响了日常生活,让花季少女的身心都倍受打击。
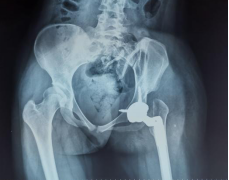
通过小张的骨盆X线可以看到,她的左侧髋臼是一个发育不良的状态,髋臼较小较浅,外展角较大,而股骨头已经完全脱位,根据脱位高度分型为DDH(developmental dysplasia hip,发育性髋关节发育不良)IV型,已经属于最严重的程度了。

(下肢不等长,Allis征+) (骨盆正位片)
小张和父母得知哈医大一院骨科的毕郑刚和耿硕团队对于成年人的DDH治疗比较有经验,已经有不少患者在治疗后恢复了正常的生活,这让小张重新看到了希望。小张和父母通过门诊找到了毕郑刚,毕郑刚通过一番查体和对影像学资料的分析后,对小张说:“你们尽快入院,剩下的交给我们!”
小张入院后,立即开始逐步进行相关检查,进行术前的准备。因为DDH的手术一般比较复杂,特别是这种脱位程度较高的患者,所以术前就需要更加精准的规划。对于小张的手术方法,耿硕制定了两套方案:一是如果原来真臼内及股骨头的软骨条件良好并且相匹配的话,那么可以尝试将股骨头放进髋臼里配合骨盆截骨重建髋关节;二是如果软骨条件不好或难以匹配,那么只能行全髋关节置换术。但是所有手术方案都会有一个挑战,就是如果在安装完髋臼杯及股骨假体后复位时把股骨下拉过多,可能会造成神经等软组织的牵拉伤并且因软组织张力过大可能造成假体松动,为了避免这种情况可能需要行股骨截骨减张,这样一期便不能恢复双下肢等长,需二期行骨延长术恢复下肢等长。在术前,为了适应软组织的张力状态及验证复位可能性,小张入院后即进行了患肢的牵引处置。为了精准的对手术做出规划,术前小张进行了下肢全长的三维CT扫描和模型重建,并且应用人工智能系统AI HIP对其进行术前手术方案的制定。人工智能能够利用患者的三维CT数据进行智能化识别解剖位点,匹配假体的大小及安放位置,通过对手术精准地预演,让外科医生在术前心中有数。通过人工智能系统的规划,计算出小张同学的双下肢腿长差和偏距差,计算出了旋转中心所需下移的距离和假体需要安放的位置等,髋关节置换方案为S-ROM假体系统,髋臼杯为PINNACLE 44号,内衬为BIOLOX28-44,因为患者比较年轻,所以选用了陶瓷对陶瓷的摩擦界面,能够实现更长的使用年限。根据术前规划数据,毕郑刚、耿硕团队提前准备了相应的假体和器械,为手术做了充分的准备。

(人工智能精准术前规划)
通过术前充分的准备,小张的手术也如约而至。当天在术中,毕郑刚和耿硕发现小张的患侧股骨头和髋臼都存在发育异常,没有软骨而且形状较不规则,难以契合,保髋方案不可取,于是只能采取方案二:全髋关节置换术。因为术前提前进行了规划,相应型号的假体也已经提前准备,髋臼假体及股骨假体安装得较为顺利。然而和预料的一样,在髋关节假体尝试复位时软组织张力较大,很难进行复位。因为在术前患侧股骨通过极限力量牵引验证了不截骨复位的可能性是存在的,为了能够让患者一期恢复腿长,避免二次手术,毕郑刚和耿硕决定通过进行软组织的松解来复位,选择了不进行股骨截骨,但是考验手术技术。经过对髋关节周围软组织的松解后,最终假体复位成功,随后通过比对双下肢长度,提示等长,关节活动度良好,宣告手术一期顺利完成。术后小张返回病房,因为未进行截骨仍有软组织张力大致神经血管等损伤的风险,术后嘱其行患肢适度屈髋屈膝位来减缓软组织张力,2~3周内逐渐伸直。术后通过查体,小张并未出现神经的损伤症状,手术成功。

(术后X线)
术后小张即在精心的康复指导下开始逐步康复,主动调整体态及佩戴矫正鞋适应新的下肢长度及改善骨盆倾斜,逐步恢复正常步态和体态。术后6周左右患者即下地行走,经细心的康复指导,小张下地表现一天比一天好。术后3个月门诊随访时,小张已经可以正常行走及上下楼梯,并且能够正常的极限下蹲。


(术后3个月正常行走、上下楼梯、患肢单腿平衡)
(正常下蹲)
耿硕总结,髋关节发育不良在幼儿时期应及早发现、及早治疗,可通过佩戴支具或者截骨手术矫正。而对于成年人的髋关节发育不良,每个分型都有其独特的处理方式。对于髋关节脱位明显的IV型DDH,因为其往往伴有下肢的严重不等长,不但影响形象与气质,更会影响步态、膝关节及腰椎。对于年轻患者,往往对外观及功能要求较高,术前需要进行详细的规划,根据个人情况行截骨保髋或髋关节置换,根据软组织情况决定行一期手术恢复下肢等长或行股骨截骨及二期骨延长恢复下肢等长。若在较年轻时行髋关节置换,因假体寿命到一定年限可能需要翻修;而对于年龄较大者,可能其对于治疗的预期重点在于舒适度,手术的时机与方式也根据个人要求因人而异,但因软组织的适应性挛缩更严重,手术难度也会相应更大。DDH手术治疗较复杂,需要精准的规划,而人工智能的发展与医疗的结合也为术前规划提供了高效精准的利器。哈医大一院毕郑刚、耿硕团队应用国内外先进技术,创新发展数字骨科,为大批患者提供了优质满意的服务。